County of Brant Council approved a zoning by-law amendment application for 169 and 197 Pottruff Rd. in Paris, allowing part of the property to be rezoned for light industrial use, during its Council meeting on Tuesday, March 10, 2026.
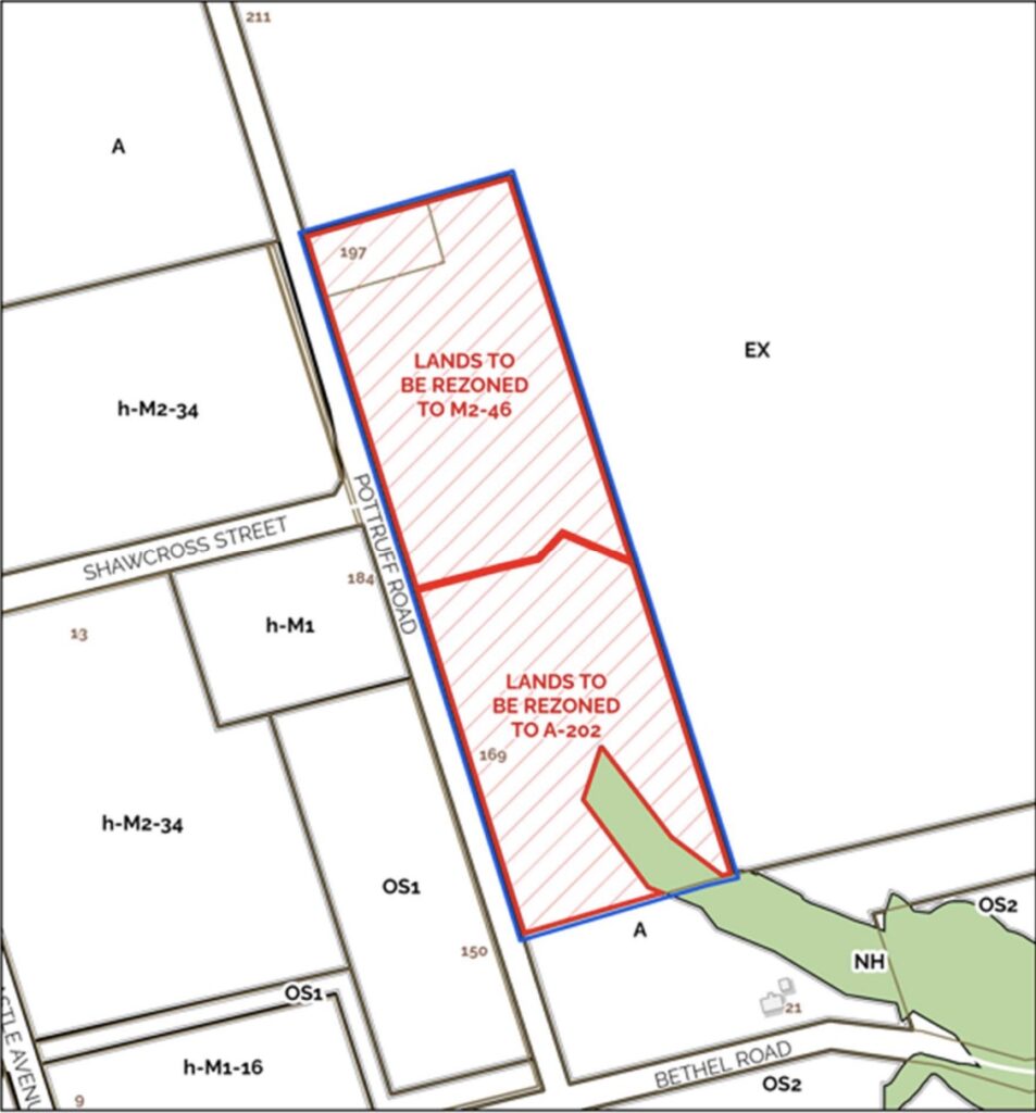
The subject lands are located on the east side of Pottruff Road, north of Bethel Road and south of Shawcross Street. The surrounding area consists of industrial uses to the west, an aggregate pit to the northeast, as well as agricultural lands and low density rural residential land uses.
The lands are currently designated as “prestige employment” and “natural heritage system” within the Official Plan.
The application, which was first presented to Council at a public hearing on December 2, 2025, originally asked that the entirety of the approximately 7.8 hectare property be rezoned from Agriculture and Natural Heritage to Heavy Industrial (M3) with site-specific provisions to permit manufacturing, warehousing and other industrial uses.
When first presented to Council, the application proposed a speculative development with three buildings and no confirmed tenants. It was also noted that, despite being part of the settlement area of Paris, the site is not currently connected to multiple municipal services.
“The initial proposal when we were here in December was to rezone the lands to Heavy Industrial (M3) with site-specifics in order to facilitate the development of three buildings with manufacturing, warehousing and other industrial uses,” said Logan Keen, a planner for the County of Brant, on March 10. “The site-specifics for the initial proposal were: an increased maximum driveway width and a parking ratio reduction of one space per 20 square metres for the office use, whereas one per 15 square metres is required, and one space per 125 square metres for the warehouse facility, whereas one per 100 square metres is required.”
During the December meeting, both residents and councillors had the opportunity to share their comments and concerns surrounding the application.
Mallory Biggs, General Manager of Five Oaks Retreat Centre, spoke about the potential impact of the proposed development on their drinking water supply and the proximity to an Indigenous ceremonial site. David Rogers, a tenant farmer in the nearby area, also expressed concerns about the environmental impact of high-density industrial space close to the Grand River.

Following the public feedback, the applicant has since returned with changes to the original plan. Under the new proposal, 169 Pottruff Rd. will remain as Agriculture and Natural Heritage, while 197 will be rezoned as Light Industrial (M2) with site-specific provisions.
Brooke Burlock, the agent speaking on behalf of owner 214CarsonCo c/o Steve Little, said there will also now be only two buildings, one of which Six Nations of the Grand River Development Corporation will own to manufacture hydroelectric materials. The second building is still a speculative build.
The site-specific provisions for the zoning essentially allow certain uses that are normally permitted in the Heavy Industrial zone to be included in the Light Industrial zone.
“The application now proposes to rezone the northern portion of the subject lands from Agricultural to Light Industrial (M2) with site-specific,” said Keen. “The additional permitted uses from the M3 zone to be included in this zone include: chemical and pharmaceutical industry, food processing plant, processed goods industry and paper products industry, all of which are consistent with the Official Plan designation.”
The site-specific provisions for parking and driveway width that were included in the original application remain unchanged, but a new provision was added to allow for a maximum building height of 16.5 metres rather than the permitted 12 metres.
Other considerations discussed during the March 10 meeting included, the reduced lot size of the remaining agricultural lands, the requirement for a 30 metre buffer between the build and the existing woodlot on the property, and future servicing needs.
The exact details in regards to how the site will be serviced will be decided at a later date during the Site Plan approval process.
Following the presentations from both Keen and Burlock, councillors then had the opportunity to once again provide their comments and concerns.
Councillor David Miller asked Burlock about the servicing in regards to when the known tenant would move in,
“We’re working on a service design through the site plan application, and that was submitted to the County earlier this week,” responded Burlock. “Once the design has been finalized, and depending on the timing of the municipal infrastructure, a possible cost sharing agreement would be pursued, but no servicing has to be in place prior to site plan approval.”
Councillor Jennifer Kyle later asked about the applicant’s partnership with Six Nations, and Brooke Hayward, Chief Operating Officer for 214CarsonCo, provided more details.
“Our friends at Six Nations of the Grand River Development Corporation are, in fact, a 50 per cent owner in this project,” said Hayward. “So they will be purchasing the land and they are partnering with Andritz [the known tenant] and this is a great news story for the area.”
As for some of the zoning and public consultation details, Hayward said “We’ve done consultation with our friends at Andritz and Six Nations to make sure the zoning wasn’t limiting their ability to do what they need to do there, and it [adding processed goods to the M2 zone] was a bit of a precautionary measure in order to do that.”
“That’s why we’ve done extensive consultation with all the neighbours. We’ve met with Five Oaks on three or four occasions, and in fact, part of their concern was they didn’t want to lose some of their esthetic flow if we drained to the front, they wanted the natural heritage to continue to drain,” she continued. “So we’ve made changes to how the site will function in order to accommodate our friends at Five Oaks and the neighbours on the corner as well. So there has been extensive consultation in order to allow this good news story to occur here in the County of Brant.”
Councillor John Peirce later thanked the applicants for listening to the public’s concerns and making the necessary changes, noting that’s exactly why public hearings are part of the planning process.
“The first rendition that was shown to us is much different than what it is today,” he said. “Thank you for listening to what we were saying as a County and what people were saying, and coming back with this. This just proves that the system does work.”
The vote to approve the zoning byl-aw amendment application was then carried unanimously.
Kimberly De Jong’s reporting is funded by the Canadian government through its Local Journalism Initiative.The funding allows her to report rural and agricultural stories from Blandford-Blenheim and Brant County. Reach her at kimberly.dejong@brantbeacon.ca.